Sprzedam Działkę!
Słomianka gm. Tykocin Pokaż na mapie ›
Odświeżone: Czwartek, 20 Listopad, 2025 12:53
74 999 zł
62 zł/m2
Szczegóły ogłoszenia
- Kategoria: Działki i grunty / Sprzedaż
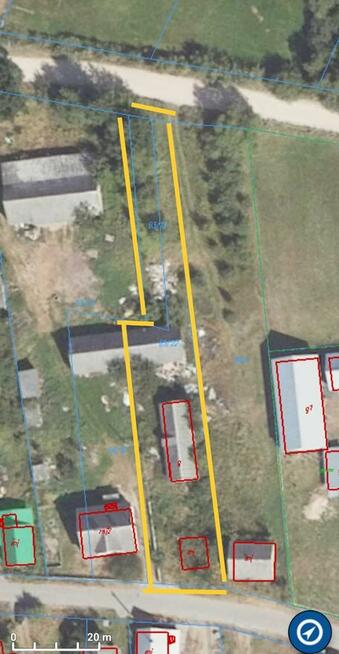
- Pow. działki:1200 m2
- Rodzaj działki:Rolna
- Sprzedaż:Bez pośredników
- Cena: 74 999 zł / 62 zł/m2
Opis oferty
Wspaniała działka w Pięknej wsi Słomianka, w okolicy Tykocina.Wieś cicha i spokojna. W powietrzu latem nie czuć żadnych zapachów, gdyż nie ma ogromnych chlewów i obór we wsi.
Latem można się cieszyć bliskością natury, pól, lasów i rzeki Narew. Wspaniała lokalizacja na postawienie domu wypoczynkowego lub całorocznego.
Na działce znajduje się murowany chlew, który nadaje się na dom oraz drewniana stodoła, która może robić za garaż. Liczne atrakcje turystyczne i przyrodnicze miasta Tykocin i województwa Podlaskiego na wyciągnięcie ręki.
Prąd można podłączyć od ręki gdyż idzie wzdłuż drogi we wsi a woda jest w studni obok.
Numery działek we wsi Słomianka obok Tykocina
63/22 oraz 63/13
Sprawdź zainteresowanie tym ogłoszeniem
Wyświetlenia
Data dodania
Ostatnio widziany
Obserwujących
Wysłane zapytania
Odsłony telefonu
Kamil
Konto prywatne
Na Lento.pl od 24 gru 2023
Strona użytkownika
- Wypromuj ogłoszenie
- Zgłoś naruszenie
- Drukuj ulotkę
- Edytuj/usuń ogłoszenie
- Udostępnij ogłoszenie
- Dodaj na Facebook
























